Il direttore Zuchtriegel: ”Un esempio di come la domus romana fungeva da palcoscenico per lo spettacolo di arte e cultura che il proprietario inscenava per acquisire voti o ingraziarsi la benevolenza degli ospiti”

Un grande complesso termale all’interno di una domus privata, annesso ad un salone per banchetti, emerge nel cantiere di scavo in corso nell’insula 10 della Regio IX di Pompei.
Il complesso rientra tra i più grandi ed articolati settori termali privati finora noti nelle domus pompeiane in luce. Pochi altri esempi di queste dimensioni sono presenti a Pompei, tra questi le terme dei Praedia di Giulia Felice, quelle della Casa del Labirinto e della Villa di Diomede.
La diretta connessione degli spazi termali alla grande sala conviviale (il cosiddetto salone nero, già emerso e reso noto qualche mese fa), lascia intuire quanto la casa romana si prestava ad essere un vero e proprio palcoscenico per le celebrazioni di sontuosi banchetti, che nella società di allora avevano una funzione non limitata a ciò che oggi definiremmo “privata” in senso stretto. Al contrario si trattava di occasioni preziose per il proprietario di per assicurarsi il consenso elettorale dei propri ospiti, per promuovere la candidatura di amici o parenti, o semplicemente per affermare il proprio status sociale.

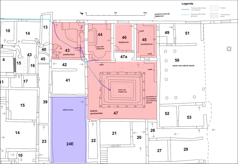
Le terme, composte da calidarium, tepidarium, frigidarium (sala calda, tiepida e fredda) e spogliatoio (apodyterium), potevano accogliere fino a trenta persone a giudicare dalle panchine presenti in quest’ultimo ambiente. Di grande effetto è la sala fredda, composta da un peristilio, ovvero una corte porticata di dimensioni 10 x 10 metri, al cui centro si trova una grande vasca.
La scelta di collocare il complesso vicino al grande triclinio (sala per banchetto) rimanda e incontra una chiave di lettura nel Satyricon, nel quale il ricco liberto Trimalcione celebra la sua famosa cena, ambientata in una città campana di I secolo d.C. e dunque culturalmente non lontana dalla realtà di Pompei prima dell’eruzione del 79 d.C. Prima di recarsi al banchetto, i protagonisti del romanzo, incluso Trimalcione, si recano in un balneum (bagno).
L’intera domus occupava la parte sud dell’insula 10, e doveva appartenere a un personaggio importante della società locale. Le pareti decorate in II e III Stile dimostrano che aveva alle spalle una storia importante. Di sicuro chi possedeva questa dimora doveva appartenere all’élite della città nei suoi ultimi decenni di vita e dunque sentire la necessita di allestire a casa propria uno spazio per ospitare numerose persone, a cui offrire ricchi banchetti e l’opportunità di fare il bagno e rilassarsi nelle terme.

“Il tutto era funzionale alla messa in scena di uno “spettacolo”, al cui centro stava il proprietario stesso. – sottolinea il direttore Gabriel Zuchtriegel – Le pitture di III stile con soggetti della guerra di Troia, gli atleti nel peristilio – tutto doveva conferire agli spazi un’atmosfera di grecità, ovvero di cultura, erudizione oltre che di ozio. Così come il salone nero doveva trasportare gli ospiti in un palazzo greco, così il peristilio con la grande vasca al centro e il complesso termale adiacente aveva la funzione di creare una scenografia da ginnasio greco, che veniva accentuata ulteriormente dalle scene atletiche successivamente apportate.
E dunque il pubblico, grato e affamato, avrebbe applaudito con sincera ammirazione allo spettacolo orchestrato dal padrone di casa e dopo una serata nel suo “ginnasio” ne avrebbe parlato ancora a lungo. “
“Lo scavo degli ambienti in questione, ed in particolare del peristilio – aggiunge il Direttore dei lavori, Anna Onesti – è avvenuto grazie ad una modalità di esecuzione innovativa, che ha consentito di raggiungere il piano pavimentale evitando lo smontaggio degli elementi architettonici instabili del colonnato”.
L’utilizzo di una struttura di supporto transitoria ha permesso di scavare l’intero colonnato, lasciando tutte le porzioni murarie al proprio posto, e rimarrà a presidio del sistema della trabeazione (la struttura orizzontale retta dalle colonne) fino ad un nuovo, futuro, progetto di restauro architettonico e strutturale, servendo anche da supporto alla sua stessa esecuzione.
L’ingresso principale della domus era a sud. Qui era probabilmente collocato un atrio, dal quale si giungeva a un grande peristilio (giardino colonnato) che occupa quasi l’intera larghezza dell’isolato e di cui si intravedono le parti superiori delle colonne angolari, non ancora scavate. Su un lato del peristilio si aprivano una serie di vani. Da ovest a est: un grande oecus (ambiente di soggiorno) decorato in II stile, un corridoio, un piccolo ambiente decorato in IV stile e un oecus corinzio, circondato da almeno 12 colonne su tre lati, con una megalografia di II stile che attualmente è ancora in corso di scavo e di cui sono stati presentati a dicembre i primi risultati: il fregio con composizioni di nature morte che rappresentano cacciagione e prodotti della pesca offerti al godimento degli ospiti durante i banchetti.
Maggiori approfondimenti sono disponibili sull’E-Journal: https://pompeiisites.org/e-journal-degli-scavi-di-pompei/
Link video youtube: https://youtu.be/Ls0ZzIIdZ08
Link video dichiarazione direttore Zuchtriegel e coperture: https://we.tl/t-E5iB08hag1
Fonte e info:
UFFICIO STAMPA – Parco Archeologico di Pompei
via Plinio – 80045 Pompei (Napoli)
tel.: +39 081 8575327 – pompei.ufficiostampa@cultura.gov.it
web: www.pompeiisites.org









